Galapagos Islands – Dec 2025
Quito to the Galápagos: Where the Earth Still Breathes and the Ocean Feels Like Home
Some trips entertain you. Others recalibrate you.
Our journey through Quito and the Galápagos Islands did exactly that, pulling us out of the noise of everyday life and dropping us into a world that feels ancient, alive, and quietly powerful.
From volcanoes that still breathe to oceans that feel like moving meditation, this was a trip of contrast: altitude and depth, movement and stillness, adventure and deep rest.
Quito: High Altitude, Deep History
Landing in Quito, you immediately feel it.. thin air, big skies, and a city that carries centuries in its bones. Nestled high in the Andes, Quito is vibrant and grounding at the same time. Cobblestone streets, colonial architecture, and an ever-present backdrop of looming mountains remind you that you’re standing somewhere sacred.
Standing at the Mitad del Mundo or The Middle of the World in Quito, was one of those quietly mind-blowing moments. You’re literally standing on the Equator, with one foot in the Northern Hemisphere and one in the Southern. It sounds simple, but being there makes it hit differently… you feel how arbitrary borders are and how connected everything actually is.
Quito was the perfect place to slow our pace before heading even further off the grid.
Galápagos: A Living Classroom of the Earth
If Quito grounded us, the Galápagos woke us up. The islands don’t perform for tourists, they simply exist, and you’re invited to witness. Life here is unapologetically raw and unfiltered.
The original natives of Galápagos
One of the funniest and somehow most normal parts of the Galápagos was how iguanas were everywhere. As are the seals.
They’re just there. Everywhere. Stretched out on lava rocks, piled on top of each other on the beach, blocking walkways like they own the place (which, honestly, they do). At first it feels surreal, like you’ve stepped into a nature documentary where no one told the animals to act impressed by humans. Eventually, you stop noticing them as “wildlife” and start seeing them as part of the landscape, completely unfazed and perfectly at home.
And then there were the blue-footed boobies. Seeing them up close felt unreal, especially their bright blue feet that look almost fake. What stood out most was how close everything felt. The animals didn’t run. They didn’t hide. They just existed alongside you, like you were the one passing through their world, which you were.
Letting Go of Fear
Snorkeling in the Galápagos is unlike anywhere else in the world. You don’t go searching for wildlife, it finds you. We snorkeled with:
- Manta rays gliding past like underwater spacecrafts
- Reef sharks cruising calmly below us
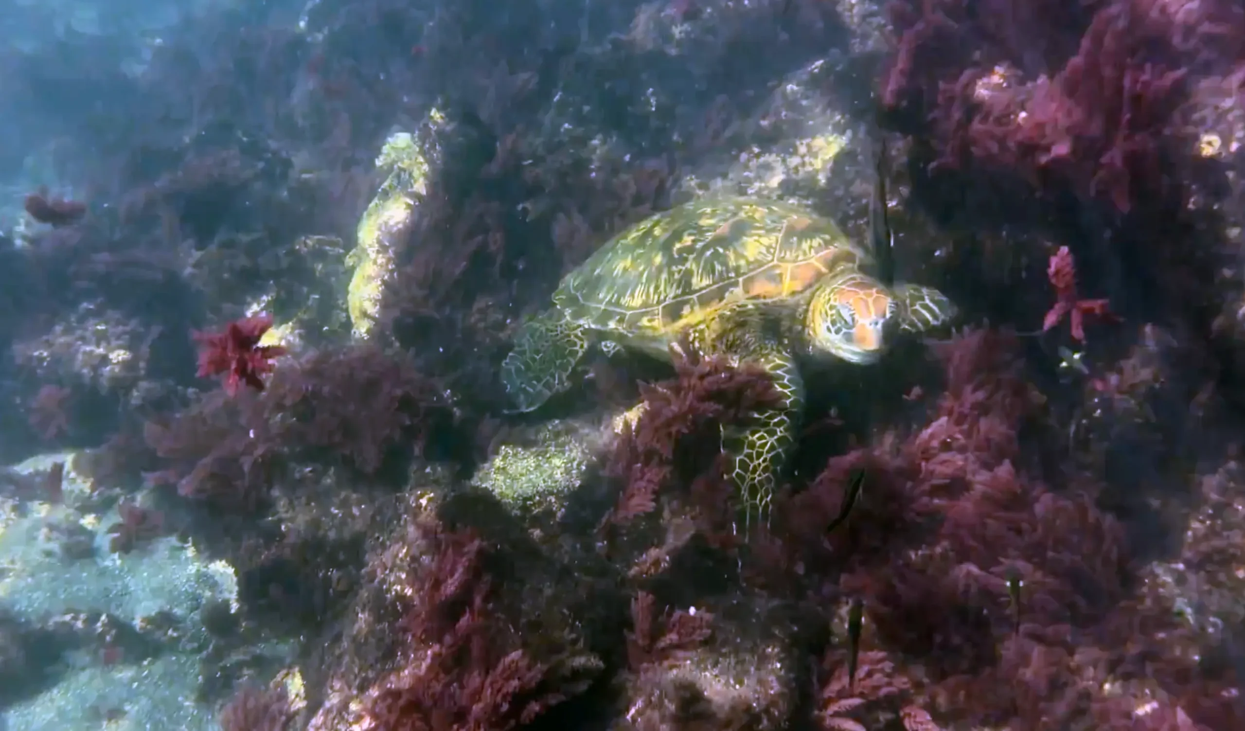
- Sea turtles moving with ancient patience
- Schools of fish so dense they blurred the water
- and so many more..
There’s a moment when fear dissolves and awe takes over. The ocean becomes a place of trust, not threat. Floating there, surrounded by life, felt oddly familiar, like remembering something the body already knows.
Sierra Negra: Walking on a Living Volcano
Hiking to Sierra Negra, one of the most active volcanoes in the Galápagos, was humbling in the best way. The trail winds across lava fields and opens up to one of the largest volcanic craters on Earth. Standing there, you can feel the planet — alive, shifting, breathing beneath your feet. It’s the kind of place that puts things into perspective very quickly. Deadlines, worries, mental noise, they don’t survive long out there.

Giant Tortoises: Masters of Stillness
Meeting the giant tortoises might have been the quiet highlight of the trip. They move slowly. Intentionally. Completely unconcerned with urgency. Watching them felt like a lesson in nervous system regulation. No rush. No resistance. Just presence. In a world obsessed with speed, the domed and the saddleback tortoises gently remind you: longevity belongs to those who know how to rest.
In fact, that’s where the islands get their name from. Early Spanish sailors saw the saddle-shaped shells and named the islands after their old Spanish word for a saddle – galápago.
The food alone deserves its own chapter.
Warm, comforting Ecuadorian dishes, fresh soups, perfectly seasoned meats, and flavors that felt nourishing rather than heavy. Every meal felt intentional, simple ingredients done beautifully.
The Rhythm of Galápagos Life
Beyond the headline moments, Galápagos life unfolds gently… early mornings, ocean swims, sun-soaked afternoons, fresh seafood and Ecuadorian meals, long pauses with nowhere to be.
It’s not a place for constant stimulation. It’s a place for integration. You adventure, you rest, you eat well, and you let the environment do what it does best — restore balance.

Leaving Changed, in the quietest way
The Galápagos doesn’t shout transformation. It whispers it.
You leave a little calmer. A little clearer. A little more aware of your place within something much larger. And somehow, without trying, you remember how to breathe more deeply, both above and below the surface. If you ever feel disconnected, overstimulated, or caught too much in your head, this part of the world doesn’t just offer escape. It offers recalibration.
And that might be the rarest kind of travel experience there is. 🌍✨





































